Log In
MAPS
WEATHER
ARTICLES
DISCOUNTS
Stowe-Smuggs Gondola Officially Dead
Will The Next Cold Hit Kick Off Snowmaking?
Ikon Pass Snaps Up Camelback and Blue Mountain
NOAA Winter Outlook September Update
Weekend Outlook September 23-24
Weekend Outlook September 16-17
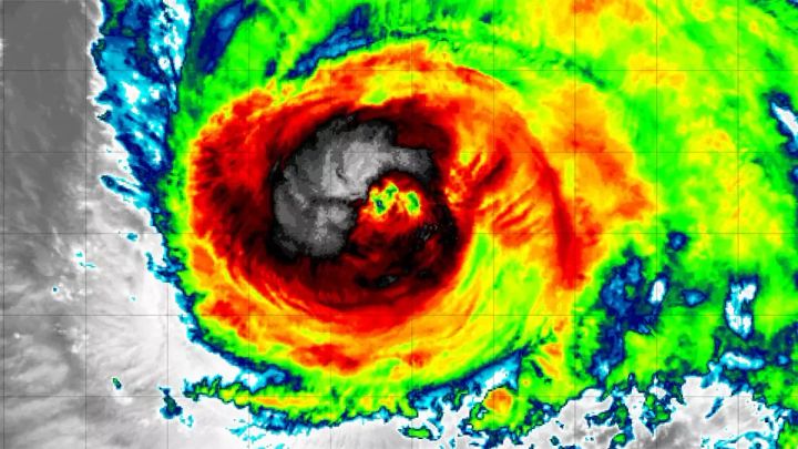
Hurricane Lee Update #3
SIGN UP FOR A
10 DAY FREE TRIAL
FOR IMMEDIATE ACCESS
SNOWOLOGY SUBSCRIPTIONS ARE
JUST $29.99
PER YEAR